大規模小売店立地法の
届け出について

【店舗名称】
OKホーム&ガーデン大村店

イメージ画像1 イメージ画像2

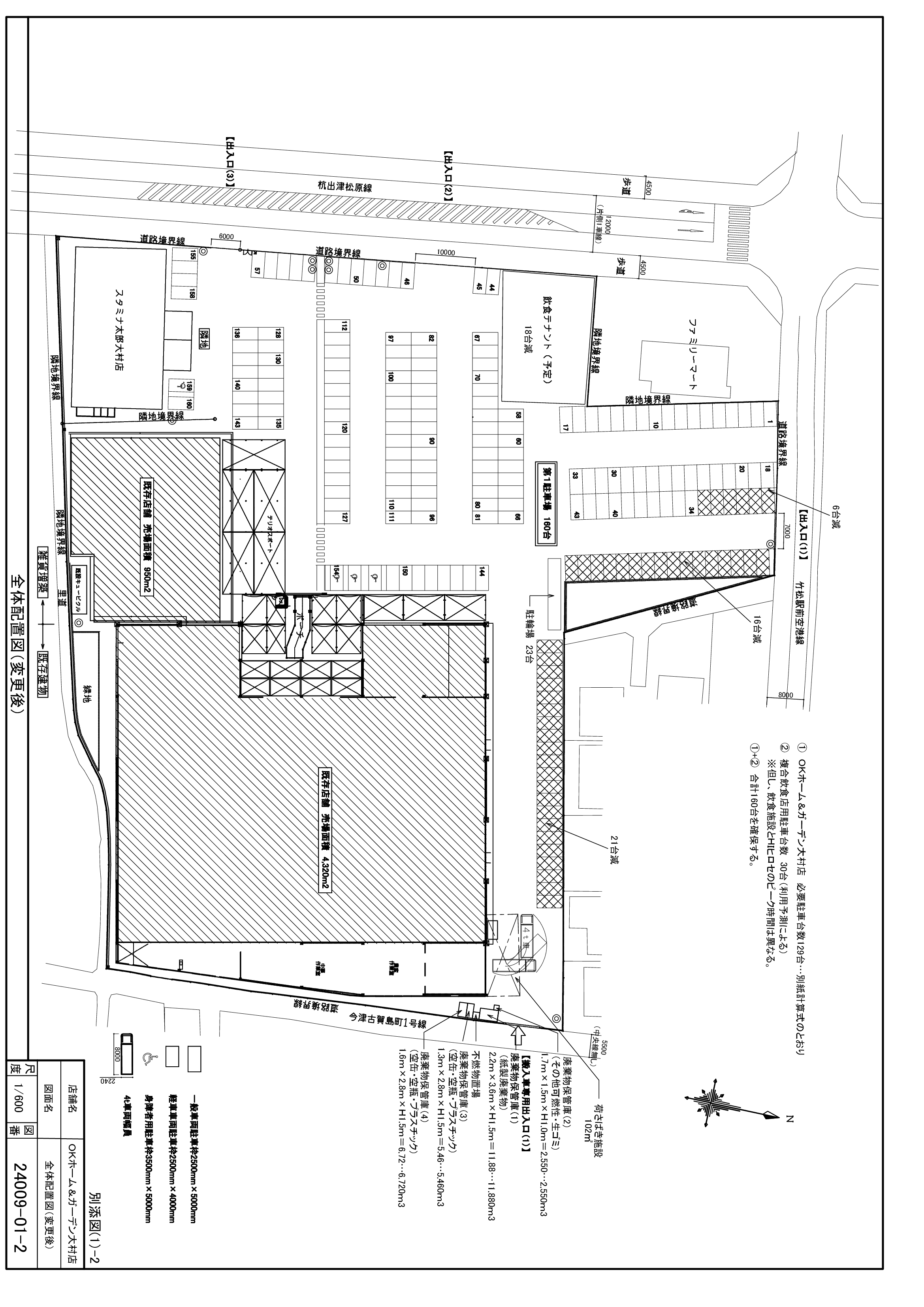
全体配置図(変更後)

イメージ画像2

お客様各位

今後も法令を順守し店舗運営を行って参りますので、地域の皆様に於かれましても、かわらぬご愛顧を賜りますよう、併せてお願い申し上げます。